ERMITA DE LA VERA CRUZ DE VILLAFÁFILA,

SIGLO XIV - XIX 1805

 

 

 

 

Citación

La referencia más antigua a la Vera Cruz es de forma indirecta de 1490, pues en la escritura de gasto que se hizo en la testamentaría de Yván de Collantes, que:

 “Fallesçio a sabado treçe dias del mes de hebrero de 1490”[1],

figura el cumplimiento de una manda testamentaria de este hidalgo, que había sido alcaide de la fortaleza de Villafáfila:

“se dio a la Vera Crus + çien mrs. Que levo Rodrigo Herrada, abad”[2].

Con lo que nos da que ya existiera anteriormente la ermita como su cofradía.

La existencia de la ermita también la conocemos concretamente pues en 1513, cuando falleció la viuda de Collantes, María Vázquez, deja mandado en su testamento:

“A la Vera Cruz e a Sª Mª de Villarigo e a Sª Mª Madalena e a Sª Marta e a Sª Mª la Nueva, hermitas desta villa, a cada una medio real para sus obras”[3],

Por lo que es de suponer que el origen de las mismas se remonte a la Edad Media

Pertenencia

Esta ermita pertenecía a la jurisdicción de la iglesia de San Andrés, esta iglesia hoy día convertida en el llamado Cementerio Viejo, cerca de cuya iglesia se encontraba la ermita.

Lugar de ubicación de la iglesia de San Andrés en el casco actual de Villafáfila

 

Lugar de la de la iglesia de San Andrés respecto a las demás iglesias que existieron en Villafáfila

 

 

Antiguo lugar iglesia de San Andrés, luego antiguo cementerio, aún perduran restos

 

Ubicación

El lugar exacto de ubicación de la ermita estaba en el pico que forman los caminos del Espino y de San Agustín en su divergencia.

 

Lugar de ubicación de la ermita de la Vera cruz en el casco actual de Villafáfila

 

La situación precisa de su emplazamiento es conocida gracias a la tradición oral, de viejos vecinos que lo oyeron contar a sus padres. Particularmente a Mauro Vicente Costilla (q.e.p.d.), se lo había transmitido su padre, al que pertenecía el solar de la antigua ermita, conocida como el Salón, o el Humilladero.

Lugar de la ermita de la Vera Cruz respecto a las demás iglesias que existieron en Villafáfila

 

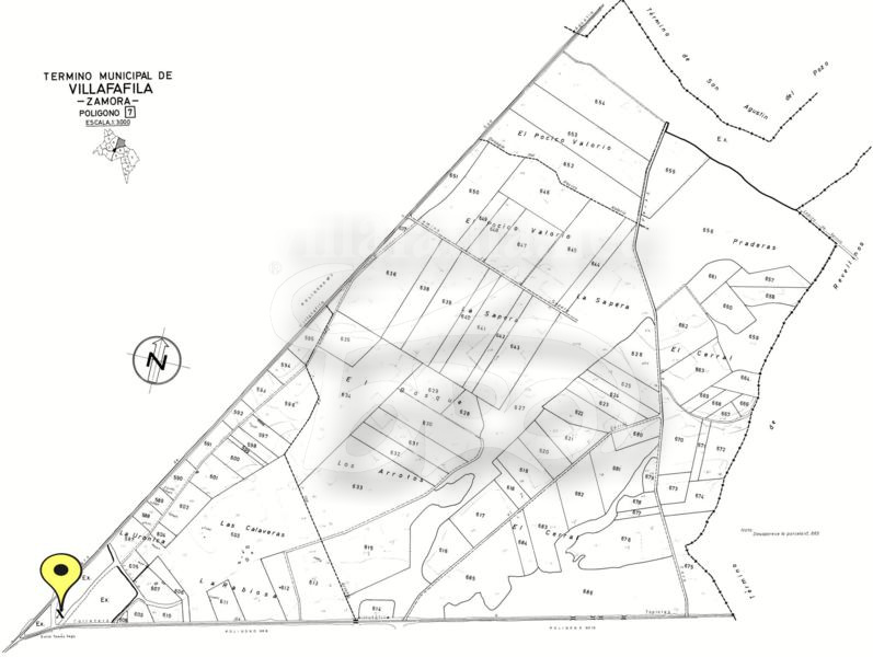
Mapas de Concentración Parcelaria de Villafáfila, polígono 7, finca 5017 ubicación de la ermita de la Vera Cruz

Mapas de Concentración Parcelaria de Villafáfila, polígono 7, finca 5017, zona el Salón, ubicación de la ermita de la Vera Cruz

 

 

Antiguo lugar de la ubicación de la ermita, lugar hoy a la zona se llama el salón

 

Dentro de la ermita se encontraba un retablo con el Santo Cristo de la Vera Cruz

Imagen[4]

Siglo XV, años anteriores a 1500.

Estilo gótico-flamenco.

Mide 1,2 m.

Autor: atribuible a Alejo de Vahía[5].

 

Cristo de la Vera Cruz antes de su restauración en 2011

 

Historia

En ella radicaba la cofradía de la Veraz Cruz, que surgieron con un carácter penitencial de disciplina durante la Edad Media influida por el pensamiento franciscano, se extendieron por todos los pueblos y en las afueras de muchos de ellos se construyeron pequeñas ermitas para dar cobijo a los penitentes y ejercer otras funciones asistenciales.

  La ermita tenía los cimientos de piedra y algunas paredes de tapial, contaba con varias dependencias como el Salón

Donde se procedía a la disciplina, alrededor de sus paredes había unos poyos de piedra donde se sentaban los cofrades durante la noche del Jueves Santo, una cocina y otros cuartos anejos para poder cumplir con las funciones de hospitalidad que tenía encomendadas la cofradía.

Dentro de la ermita se encontraba un retablo con el Santo Cristo de la Vera Cruz.

En el siglo XVI, sirvió para recibir el Santísimo Sacramento de la parroquia de San Andrés, mientras se hacían obras en la iglesia.

La procesión denominada “La Carrera” se celebraba la tarde del Jueves Santo y sacaban en procesión la imagen del Cristo crucificado,

Aunque en aquella época estaba vestido con faldellín.

Procesión de la Vera cruz, a su salida de la iglesia Santa María del Moral, en la actualidad

 

La imagen estaba muy vieja en 1726 lo que puede ser orientativo de su antigüedad, por lo que el obispo manda:

 “que se retoque la efigie del Sstº Xpttº por allarse sin pintura y muy deteriorada”.

En 1741 se menciona lo que ha costado dorar la caja del Cristo y dos cristos pequeños con faldellines de damasco verde.

En 1714 el obispo de Astorga, ante la amenaza de ruina, manda que se demuela la ermita y se ponga una cruz en su lugar[6], pero no se llevó a cabo este mandato episcopal seguramente por la oposición de los cofrades, que dos años 1716 más tarde realizan las obras de reparación mediante un escote entre todos, por carecer de fondos la cofradía.

Las obras se suceden cada cierto tiempo y el deterioro persiste, a veces agravado por la entrada de las aguas que bajaban por el camino del Espino dentro de la ermita en los periodos de riada.

1747 como se dice en la visita pastoral:

“Visitó también la ermita de la Cruz, contigua a San Andrés”[7].

En 1760 se reedifica el salón, empleando adobes y 1500 tejas.

Hasta su demolición en 1805 casi todos los años figura una partida de gastos para obras de reparación de la ermita.

Los cofrades de disciplina tenían que hacer penitencia o disciplina durante la noche del Jueves Santo en el Salón de la ermita, probablemente también durante el trayecto de la procesión, pues en esa época se llama procesión de la disciplina. Las características de esta penitencia no las conocemos en detalle, pero básicamente consistía en sufrir azotes en sus carnes hasta hacerse sangre, posiblemente con algún flagelo o instrumento cortante, de ahí su denominación también como cofrades “de pica o de sangre”. Para la limpieza de las heridas utilizaban vino.

La penitencia que se hacía en el Salón de la ermita, se realizaba ante un crucifijo:

“una cruz que llaman de los azotes, con los instrumentos de la Pasión”,

y los cofrades que no la realizaran estaban sujetos a multa. Pasados los 50 años de edad estos cofrades quedaban exentos de disciplinarse y los que no estuvieran imposibilitados asistían a la procesión del Jueves Santo con la túnica blanca.

A los participantes en la disciplina la cofradía les ofrecía “la parva”, consistente en una porción de torta de pan y vino, que, de esta acción, fue el origen de las limonadas entre los vecinos de la Villa esa misma noche que perduró siglos hasta finales de la década de los 80 del siglo XX.

 

Refresco de limonada y pastas en la “Parva”, que se da en la actualidad después de la procesión de la Vera Cruz

 

Con el paso de los años los obispos, con una formación y una mentalidad influidas por las ideas de la Ilustración, recomiendan que no se hagan esos ejercicios de disciplina por parecerles prácticas salvajes, así en 1775 uno de los mandatos del obispo de Astorga es:

“que la penitencia de sangre de la Semana Santa sea enteramente voluntaria, de modo que, en lo sucesivo, no pueda multarse cofrade alguno por no disciplinarse, pues esto debe ser efecto para la devoción, y lo contrario reprensible”.

La elección de cargos se llevaba a cabo en la junta de la cofradía que se celebraba el 14 de septiembre, día de la Exaltación de la Cruz, de cada año y sus funciones no las conocemos. Los cabildos de la cofradía se realizaban en la iglesia de San Andrés, seguramente por la insuficiencia de la ermita para albergar a todos los cofrades.

Cuando el obispo de Astorga en su visita pastoral de 1642 decide suprimir la parroquia de San Andrés para ser aneja a la de San Pedro por falta de feligreses, los cofrades de la Vera Cruz se presentan ante su ilustrísima:

“y dijeron que pedían merced para hacer en San Andrés los cabildos de la cofradía y que la campana grande quede en la iglesia”[8], a lo que accede el obispo.

La cofradía pasaba a depender de la iglesia de San Pedro, y por tanto la jurisdicción de la ermita.

Aparte de las misas la cofradía tenía la obligación de mantener un hospital en las dependencias de la ermita para albergar a los pobres enfermos y peregrinos. Al cuidado de ella se encontraba un hospitalero para acoger enfermos o transeúntes.

Así en 1541 Francisco de Pajares es:

“hospitalero de la cofradía de la Santa Vera Cruz”.

Era uno de los cuatro con que contaba la villa en el siglo XVI. Se trataba de pequeños establecimientos con una cocina y un cuarto al cargo de un hospitalero que cuidaba a los pobres.

Pero no siempre estas obras de caridad se atendían y en la visita pastoral de 1597 el obispo deja nombrado al cura de San Andrés como superintendente del hospital de la Cruz para que lo visite a menudo y mire por el cumplimiento de las obligaciones de atender a los pobres, que tengan aposentos apartados para los hombres y las mujeres. Además de atender a los pobres enfermos la cofradía debía hacerse cargo de los niños que dejaban expósitos en su puerta y llevarlos a los hospicios.

En 1567 Francisco de Cabañas de sesenta años, era el hospitalero:

“este testigo es lego e casado e que no es rrico, que vive en el hospital de la cofradía de la Cruz de la dicha villa de Villafáfila... e que la arte que este testigi executa es la de trabajar de cabar y arar por jornal y segar”[9].

Durante el siglo XVII seguía habiendo hospitalero al frente de la casa, pues en el Libro de Difuntos de la parroquia de San Pedro se anota en 1644:

“Alonso Fernández, de Cional, hospitalero de la Cruz”. Tres años más tarde fallece: “Pedro Pérez, hospitalero de la Cruz”.

Pocas noticias hay de sus funciones como hospicio, situación a la que se veían avocadas las iglesias y ermitas, sobre todo las situadas en las afueras de las villas. Los libros de la cofradía anteriores a 1693 se han perdido y el más antiguo que se conserva se remonta a ese año, y en él se anota que en 1700 y en 1702 aparecieron sendas criaturas en la ermita que tuvieron que ser llevadas al Hospital de Expósitos de Salamanca por el mayordomo de la cofradía.

1770 se hace referencia de la cofradía de la Vera Cruz en el expediente de remisión del vizconde de Valoria, intendente de Zamora, al conde de Aranda del estado de las congregaciones, cofradías y hermandades que hay en los pueblos de su jurisdicción, Villafáfila (Zamora) (pliego VIII y ss.)[10].

 

Cofradías de Villafáfila en ella la Cofradía de la Vera Cruz, expediente de remisión del vizconde de Valoria, intendente de Zamora, al conde de Aranda del estado de las congregaciones, cofradías y hermandades que hay en los pueblos de su jurisdicción, Villafáfila (Zamora) (pliego VIII y ss.)

 

El mantenimiento de la ermita era a través de la cofradía, y esta a vez se financiaba cabo por medio de las cuotas de entrada y salida de los cofrades, del arrendamiento de las túnicas de penitencia, algunas de las cuales servían de mortaja a los cofrades que no disponían de una propia y que pagaban su valor:

“tiene camisas para los penitentes que se disciplinan el Jueves Santo, y alguna de ellas se han sacado para amortajar a algunos que han muerto”;

por los mandas testamentarias de limosnas que muchos vecinos dejaban a su muerte para reparos de la ermita o para la cofradía, ya mencionamos los 100 mr. que dejaba Ivan de Collantes en 1490, y en 1523 el arcipreste Fernando Fernández, dejó mandado  “Ytem mando a la Vera Cruz de Sant Andrés un ducado” que equivale a 374 maravedíes,  del fruto de las tierras de la cofradía, que en 1751 ascendían a 81 fanegas y 3 cuartas de superficie, que producían unas 14 fanegas de pan mediado, trigo y cebada. Estas tierras también habían ido pasando a la cofradía por medio de testamentos y mandas funerarias.

Un gran golpe a la cofradía supuso la desamortización de sus propiedades a principios del siglo XIX. Consecuencia de la política de Godoy, en 1798 se promulgó una Real Orden por la que se creaba una Real Caja de Amortización y se mandaba enajenar los bienes raíces de los hospitales, hospicios, casas de misericordia, casas de reclusión, cofradías, memorias, obras pías y patronatos de legos, poniendo los capitales logrados en esa Real Caja con un rédito anual del 3%.

Esta desamortización, precursora de las de Mendizábal o Madoz, afectó a muchas fundaciones religiosas de Villafáfila, entre otras a esta cofradía.

En 1805 se pusieron las heredades en venta y se desmontó la ermita vendiéndose la madera, la piedra y la teja de la misma. La heredad de tierras se vendió en febrero de 1806 por 28.280 reales y 33 maravedíes.

El Cristo de la Vera Cruz sería trasladado a la iglesia de San Pedro, que tras la supresión en 1642 de la iglesia San Andrés, pertenecía la cofradía a la su jurisdicción de la iglesia de San Pedro.

Croquis de la iglesia de San Pedro, son saber el lugar de ubicación del Cristo de la Vera Cruz.

 

La cofradía siguió hasta finales de siglo XIX que se desapareció y con ello la procesión.

En el año 2010 se recuperó la cofradía y la procesión conservando la esencia de entonces, pero con algunos cambios.

Al desparecer la iglesia de San Pedro a principios del siglo XX, en 1904 el Cristo de la Vera Cruz fue trasladado a la iglesia de Santa María del Moral, seguramente termino en dependencias parroquiales, 1995 fue puesto en el Museo Parroquial, y en 2011 fue restaurado y colocado dentro de la iglesia.

Más información en la Cofradía de la Vera Cruz:

https://villafafila.net/cofradiaveracruz/cofradiaveracruz.htm

 


Autor:

Elías Rodríguez Rodríguez.

José Luis Domínguez Martínez.

 

Bibliografía - Texto:

Elías Rodríguez Rodríguez.

Cofradía de la Vera Cruz.

villafafila.net - http://villafafila.net/cofradiaveracruz/cofradiaveracruz.htm

 

Manuel De la Granja Alonso y Camilo Pérez Bragado:

Villafáfila, historia y actualidad de una villa castellano leonesa y sus iglesias parroquiales. 1996, pág. 412 y 433.

 

Manuel de la Granja Alonso.

El Arte de una villa castellano-leonesa Villafáfila 2008, pág. 26, 44 y 45.

 

Archivo Parroquial de Villafáfila. Libros 71 y 72.

 

José Ángel Rivera de las Heras

Nuevas obras relacionadas con Alejo de Vahía y su escuela en la Diócesis de Zamora.   

BSAA Arte: Boletín del Seminario de Estudios de Arte, ISSN 1888-9751, Nº. 76, 2010, págs. 25-32.

http://dialnet.unirioja.es/descarga/articulo?3418293.pdf

 

Archivo Pares: ES.28079.AHN//CONSEJOS,7098,Exp.29. Expediente de remisión del vizconde de Valoria, intendente de Zamora, al conde de Aranda del estado de las congregaciones, cofradías y hermandades que hay en los pueblos de su jurisdicción. http://pares.mcu.es/ParesBusquedas20/catalogo/description/6846186?nm

http://pares.mcu.es/ParesBusquedas20/ViewImage.do?accion=42&txt_transformacion=0&txt_id_imagen=9&txt_rotar=0&txt_contraste=0&dbCode=40189472

http://pares.mcu.es/ParesBusquedas20/ViewImage.do?accion=42&txt_transformacion=0&txt_id_imagen=16&txt_rotar=0&txt_contraste=0&dbCode=40189479

 

Mapas de Concentración Parcelaria, Agricultura y Ganadería de JCyL, de Villafáfila:

https://agriculturaganaderia.jcyl.es/web/jcyl/binarios/542/965/VILLAFA_ACU_PLA_007.TIF?blobheader=image%2Ftiff&blobheadername2=site&blobheadername3=Cache-control&blobheadername4=Expires&blobheadervalue2=JCYL_AgriculturaGanaderia&blobheadervalue3=no-store%2Cno-cache%2Cmust-revalidate&blobheadervalue4=0

 

https://www.sedecatastro.gob.es

 

José Luis Domínguez Martínez.

Datos personales.

 

Fotos:

Manuel de la Granja Alonso.

Archivo Pares: ES.28079.AHN//CONSEJOS,7098,Exp.29. Expediente de remisión del vizconde de Valoria, intendente de Zamora, al conde de Aranda del estado de las congregaciones, cofradías y hermandades que hay en los pueblos de su jurisdicción. http://pares.mcu.es/ParesBusquedas20/catalogo/description/6846186?nm

http://pares.mcu.es/ParesBusquedas20/ViewImage.do?accion=42&txt_transformacion=0&txt_id_imagen=9&txt_rotar=0&txt_contraste=0&dbCode=40189472

http://pares.mcu.es/ParesBusquedas20/ViewImage.do?accion=42&txt_transformacion=0&txt_id_imagen=16&txt_rotar=0&txt_contraste=0&dbCode=40189479

Mapas de Concentración Parcelaria, Agricultura y Ganadería de JCyL, de Villafáfila:

https://agriculturaganaderia.jcyl.es/web/jcyl/binarios/542/965/VILLAFA_ACU_PLA_007.TIF?blobheader=image%2Ftiff&blobheadername2=site&blobheadername3=Cache-control&blobheadername4=Expires&blobheadervalue2=JCYL_AgriculturaGanaderia&blobheadervalue3=no-store%2Cno-cache%2Cmust-revalidate&blobheadervalue4=0

José Luis Domínguez Martínez.

 

Transcripción y montaje:

José Luis Domínguez Martínez.

 

Todo texto, fotografías, transcripción y montaje, sus derechos son pertenecientes a sus autores, queda prohibida sin autorización cualquier tipo de utilización.

 

Todo texto y fotografía ha sido autorizado el almacenamiento, tratamiento, trabajo, transcripción y montaje a José Luis Domínguez Martínez, su difusión en villafafila.net, y cualquier medio que precie el autorizado.

[1] Archivo de la Real Chancillería de Valladolid. Pleitos Civiles. Zarandona y Walls 1353-8 olv.

[2] Archivo de la Real Chancillería de Valladolid. Pleitos Civiles. Zarandona y Walls 1353-8 olv.

[3] Archivo de la Real Chancillería de Valladolid. Pleitos Civiles. Zarandona y Walls 1353-8 olv.

[4] Manuel de la Granja Alonso: El Arte de una villa castellano-leonesa Villafáfila 2008, pág. 44 y 45.

[5] Nuevas obras relacionadas con Alejo de Vahía y su escuela en la Diócesis de Zamora. José Ángel Rivera de las Heras. BSAA Arte: Boletín del Seminario de Estudios de Arte, ISSN 1888-9751, Nº. 76, 2010, págs. 25-3. http://dialnet.unirioja.es/descarga/articulo?3418293.pdf

[6] Lib. Fáb. San Pedro, 1714-1807, pág. 108 vta.

[7] Lib. Fáb. San Andrés. 1559 - 1630, pág. 126.

[8] Lib. Fáb. San Pedro, 1605-1714, pág.108 vta.

[9] ADA 76-3.